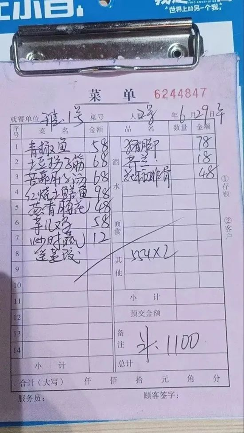
一次请客吃饭,让重庆市荣昌区委书记高洪波上了热搜。6月29日,他邀请当地养猪专业户、食品加工工人、90后创业者代表等多人到当地一家餐馆吃饭。饭后,高洪波在网上晒出了请客菜单、付款账单,显示菜品有青椒鱼、猪脚、芋儿鸡等家常菜,消费总金额共1108元,店主“抹零”8元后,收费1100元。

这并不是高洪波第一次因“带头消费”引发关注。今年1月,他在荣昌区的经济工作会议上就曾呼吁领导干部“带头消费”,表示“希望我们在座的每个同志春节前去买一套新衣服,给家属也买一套新衣服,给小孩也买一套新衣服;希望在座的每一个周末都带着家人出去吃个饭”。
一位直辖市的区委书记下馆子请客吃饭,缘何备受瞩目?原因可能有三点:
其一,在大众的固有认知里,领导干部的个人生活往往较为低调,日常与何人共餐、于何处就餐,并不在公众日常视线里。而高洪波主动将聚餐公之于众,这种“高调”的展示方式,打破了人们的常规印象。
其二,不同于过去一些领导干部在外吃喝“有人埋单”,这次是区委书记请企业家等人吃饭,还事先声明“如果哪个抢单就不准吃饭”。
其三,在大力整治公职人员违规吃喝的大背景下,高洪波一次邀请两桌人下馆子,以亲身实践的方式,在一定程度上消解了社会对此类做法是否违规越界的担忧。
其实,外界不难明白,高洪波发布其请客吃饭的视频,并非单纯展示其个人生活。正如他在饭桌上所言,“请大家吃饭,就是要让大家感受一下荣昌的营商环境、人间气、烟火味”。作为区委主要领导,高洪波的做法具有示范效应,不仅为当地公职人员正常餐饮“打了个样”,也蕴含着提振市场活力、激发消费潜力的考量。
常言道:“不做亏心事,不怕鬼叫门。”公职人员进行正常的餐饮活动,完全可以光明正大。有关部门曾刊文明确指出:“认定违规吃喝的关键点在于弄清参与吃喝的人员关系、吃喝的地点性质和吃喝的钱款来源,也就是和谁吃、在哪儿吃、谁付钱。”高洪波这次请客吃饭由自己掏钱埋单,选择的餐馆也是一家平价夫妻小店,自然不存在违规吃喝、影响公务执行的问题。
需要强调的是,民众反感公职人员吃喝,本质上是反感与吃喝相伴的利益输送、权钱交易。回顾诸多案例,不少严重违纪违法的领导干部都是从一顿饭、一瓶酒开始,逐步滑向违法犯罪的深渊。反过来说,利用周末等休息时间,与家人、朋友聚一聚,则是人情味的体现,有利于干部搞好家庭建设、纾解工作产生的压力。
实际上,当大多数领导干部能够坦然进行个人餐饮消费,违规吃喝成为罕见的非常态状况时,人们自然不会再把公职人员日常餐饮与各种歪风邪气联系在一起,这也是廉政建设的目标之一。从此次高洪波发布吃饭视频以后的网友反馈看,不少人都对他的做法表达了认同与支持。
领导干部“亮一亮”个人消费,也是在为社会营造一种适度松弛的和谐氛围。工作时恪尽职守,严格遵守法律法规与岗位规范;休息时放松身心,在规则范围内开展餐饮、娱乐、休闲活动,这种张弛有度的工作生活状态,才是社会的常态。唯有如此,市场的“烟火气”才能不断兴旺,敢消费、愿消费、能消费的社会氛围也才能持续浓郁。