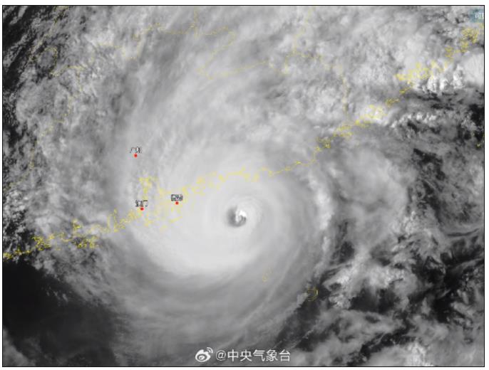
据@中央气象台 消息,“苏拉”有可能成为1949年以来登陆珠三角地区的最强台风。
9月1日14时,超强台风“苏拉”中心附近最大风力17级(58米/秒)。预计,“苏拉”将以每小时10~15公里的速度向西偏北转偏西方向移动,将于今天夜间到明天上午以强台风级或超强台风级在广东惠东到台山一带沿海登陆,也不排除在广东中部近岸海面向西偏南方向移动的可能。

截至9月1日11点40分,广东省有5个台风红色预警、15个台风橙色预警、24个台风黄色预警、20个台风蓝色预警和21个台风白色预警,共85个台风预警信号生效。

目前,广东汕尾、惠州、深圳等沿海城市陆续宣布实行“五停”。

多所高校发布紧急通知
9月1日,包括华南农业大学、广州大学、深圳大学在内的多所广东高校发布通知,提醒师生注意人身安全。

广州大学:原计划于9月1日、2日报到的2023级学生(含全体本科生、预科班新生和研究生新生),如因天气等原因导致不能按时报到,报到时间可延长至9月3日、4日,报到地点不变 。
深圳大学:请各学院(部)做好学生防台风安全教育,引导已经到校的学生明后两天不要外出,确保安全。同时,通知尚未到校的学生暂不要启程,务必等台风过后再返校报到。
华南农业大学:请全体师生按照学校有关通知要求,做好个人避险防护,确保生命财产安全,齐心协力,共御台风。
进出广东省列车全部停运
广铁集团通报,鉴于今年第9号台风“苏拉”登陆广东,将对广东全省铁路运输造成巨大影响。为确保铁路运输安全,铁路部门决定9月1日20时至9月2日18时,对进出广东省列车全部停运。预计9月2日18时起,逐步恢复京广高铁、南广高铁、贵广高铁、京广普速铁路等线路列车运行。


做好防范,
注意安全!
中国青年报(ID:zqbcyol 整理:陈茜)综合:@中央气象台、中国天气、人民日报、各高校官微等。